Date: 27 mai 2015
Heure de début : 12:50
Heure de fin : 13:10

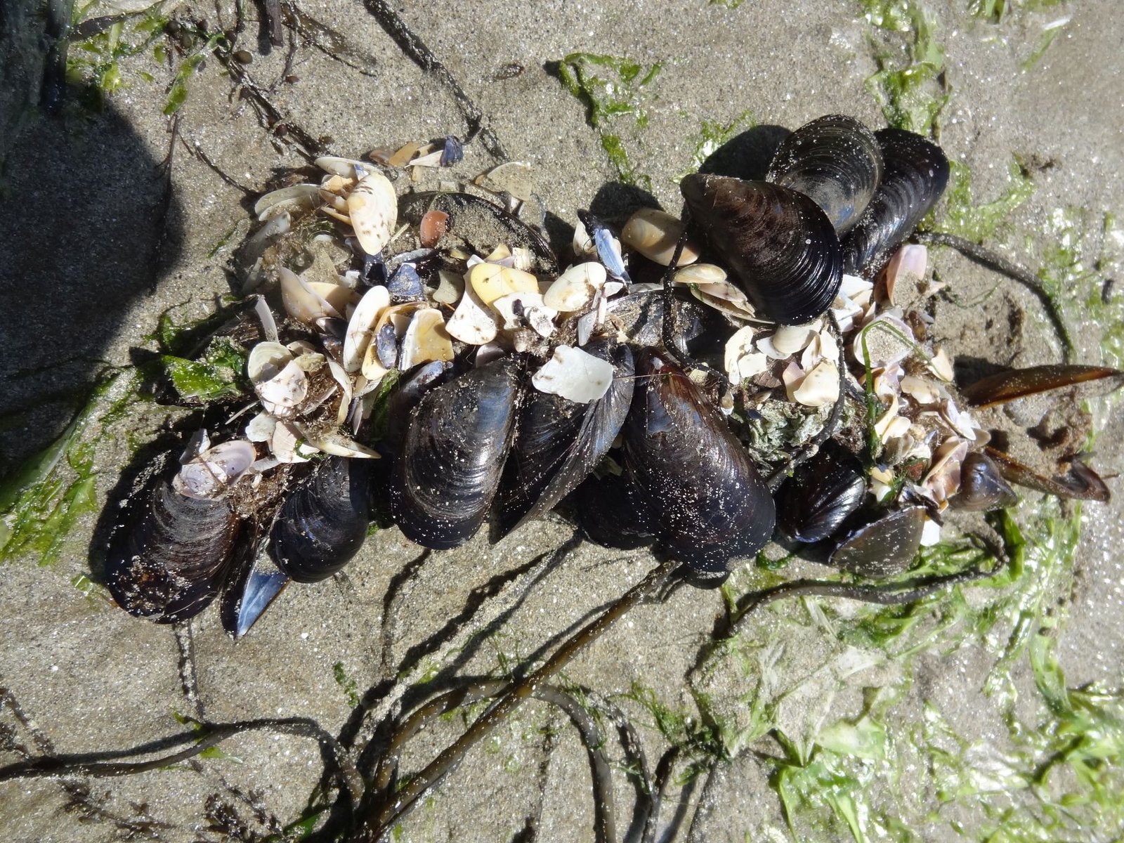
Espèce à identifier

Nom du lieu : Plage du Ris - Ploaré - Douarnenez - Finistère

Me connecter pour
proposer une identification ou voter

D'autres observations de
Phil

Vous n’êtes pas encore inscrit à Biolit ?

Merci !

Merci, vos observations ont bien été prises en compte. Grâce à celles-ci nous suivons l’évolution de la qualité des milieux littoraux !

Votre événement a-t-il eu lieu ?
Nombre total de participants / Estimation
Dont enfants non scolaires
Dont enfants primaire
Nbre classes primaire
Dont enfants collège
Nbre classes collège
Dont enfants lycée
Nbre classes lycée
Dont étudiants
Nbre promotions
commentaire
Date et heure de début *
Date et heure de fin *
Lieu *
Type de public
Type d'activité *
contact d'inscription
infos supplémentaire sur la sortie